Twitter
Instagram
Facebook | QLD | NSW | VIC | TAS | SA | WA | NT | NZ
Back to Latest Severe Weather News
Severe Weather News April 2020
![]() |
Heavy rain soaks parts of Victoria, New South Wales and ACT30 April 2020: A strong cold front sweeping across southeastern Australia is producing widespread heavy rain across parts of VIC and NSW, with some places seeing their heaviest April falls in decades. |
![]() |
Vigorous cold front to bring heavy rain, thunderstorms, strong winds and snow to southeastern Australia27 April 2020: The strongest cold front of the year is set to sweep across Australia's southeast from Wednesday, causing temperatures to plummet and bringing a burst of rain, wind, thunderstorms and snow. |
Patchy rain spreading across southeast Australia24 April 2020: A low pressure trough and front are set to send a band of rain and showers across southeastern Australia over the weekend, topping off another wet month for the region with the Murray-Darling Basin seeing it's third consecutive month of above average rainfall. |
|
Record hailstorms lash Central Queensland20 April 2020: Destructive thunderstorms lashed parts of Central Queensland on Sunday afternoon, with numerous large to giant hail reports. |
|
Wet week for western Tasmania15 April 2020: A wet and windy end of the week is set to develop for the western half of Tasmania. |
|
![]() |
Record April heat affecting southwest WA this Easter10 April 2020: Parts of southwest Western Australia are in the middle of what is likely to end up as the hottest run of days on record for April, as temperatures soar into the mid to high 30s on Friday and Saturday. |
Easter set to bring more rain, wind and snow for southeast Australia8 April 2020: Easter 2020 might be a good one when it comes to social distancing and being homebound as a vigorous cold front is set to bring cold, wet and windy weather to Australia's southeast from Friday to Sunday. |
|
Burst of late season storms for northern Australia8 April 2020: Northern Australia is set to see a late season storm outbreak this week, as an unusual weather event develops across the region. |
|
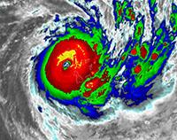
![]() |
Tropical Cyclone Harold impacts the Solomon Islands and Vanuatu7 April 2020: Severe Tropical Cyclone Harold is the strongest cyclone to strike Vanuatu since 2015's tropical cyclone Pam, which also produced wind gusts of 265km/h sustained and resulted in an estimated $380 million in damage. |
Vanuatu bracing for Severe Tropical Cyclone Harold6 April 2020: Whilst the majority of Australia will experience a quiet week on the weather front, the South Pacific island chain of Vanuatu is bracing for impact from Severe Tropical Cyclone Harold. |
|
Storms looming for southern QLD and northern NSW3 April 2020: Widespread storm activity is likely to develop for parts of Victoria, New south Wales, inland Queensland, Northern Territory, South Australia and western Tasmania during Friday afternoon. |
|
![]() |
March weather wrap: A mixed bag for Australia2 April 2020: March 2020 was a mixed bag across Australia, as many parts of the southeast had cooler and wetter conditions than average, whilst the tropical north continued to be warmer and drier than usual. |
Weather News Archives
2020: [January] [February] [March] [April] [May] [June] [July] [August] [September]
2019: [January] [February] [March] [April] [May] [June] [July] [August] [September] [October] [November] [December]
2018: [January] [February] [March] [April] [May] [June] [July] [August] [September] [October] [November] [December]







